El huracán Jimena fue el quinto huracán y tercer huracán mayor de la temporada de huracanes en el Pacífico oriental de 2009. Formado el 29 de agosto frente a la costa de México, el ciclón rápidamente se intensificó y adquirió categoría 2 en la Escala de huracanes de Saffir-Simpson ese mismo día. Luego de una breve pausa en su fortalecimiento, alcanzó la categoría 4 al día siguiente, llegando a rozar la categoría máxima en su pico de intensidad el 1 de septiembre. Cuando el huracán impactó en México (Guaymas, Sonora) el día 3 de septiembre, produjo US$ 59,8 millones en daños y dejó un saldo de tres muertos y dos desaparecidos.
Historia meteorológica
El día 25 de agosto el Centro Nacional de Huracanes de Miami comenzó a monitorear una amplia área de baja presión, a pesar de que esta se ubicaba sobre América Central en ese momento.[1] Al comienzo, la tormenta fluctuó en su intensidad y por momentos no hubo signos de organización.[2][3] No obstante, al día siguiente el sistema comenzó a organizarse y hacia el final del día empezó a formarse una depresión tropical.[4] En las primeras horas (UTC) del día 29 de agosto el sistema fue clasificado como la depresión tropical Trece-E, mientras se localizaba a unos 400 km al suroeste de Acapulco, México.[5][6] La depresión se intensificó rápidamente y recibió el nombre de tormenta tropical Jimena.[7]
La tormenta recién formada continuó desarrollándose con rapidez, duplicando su intensidad en solo seis horas: sus vientos pasaron de 65 km/h a 130 km/h.[8] Jimena continuó fortaleciéndose velozmente y en la misma tarde del 29 de agosto alcanzó fuerza de huracán de categoría 2.[9] El pronóstico oficial inicial mantenía a Jimena alejada de la costa, pero el Laboratorio Geofísico de Dinámica de Fluidos anticipó que el sistema tocaría tierra en la península de Baja California.[9]
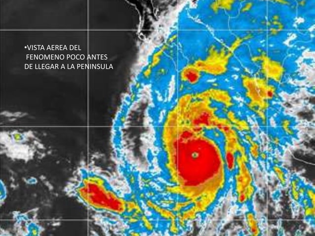
El ciclón no continuó desarrollándose esa tarde, quizás debido a un ciclo de reemplazo de la pared del ojo, en que uno ojo se disipa para luego ser reemplazado por otro.[10] Sin embargo, Jimena fue declarada como el tercer huracán mayor de la temporada al reaparecer el ojo en las imágenes satelitales, poco antes del amanecer del día siguiente.[11] Su fortalecimiento continuó y para la tarde del 31 de agosto era un poderoso huracán de categoría 4 en el umbral de la categoría 5. Las discusiones del CNH de esa fecha mencionan que Jimena pudo haber alcanzado brevemente la categoría máxima ese día.[12]
El debilitambiento de Jimena comenzó en las primeras horas del 1 de septiembre al ocurrir un nuevo reeplazo de la pared del ojo, y continuó el día siguiente a medida que el sistema entraba en aguas más frías e interactuaba con la península de Baja California. Esa mañana, Jimena rozó el Cabo San Lázaro[13] con categoría 2 para tocar tierra entre las localidades mexicanas de Puerto San Andresito y San Juanico con categoría 1.[14] Jimena entró en el golfo de California donde permaneció casi estacionaria, degradándose primero a Tormenta tropical el día 2[15] y luego a depresión tropical el 4 de septiembre.[16]
Preparativos e impacto
América Central
Mientras el área de baja presión cruzaba América Central, el Centro Nacional de Huracanes advirtió sobre lluvias localmente intensas en esa porción del continente y el sur de México. Sin embargo, no se reportaron daños en dicha área.[1]
México
Conforme la tormenta se movía paralela a la costa mexicana, se abrieron refugios por la eventualidad de que se registraran vientos fuertes.[17] En Acapulco, la tormenta solo produjo cielos cubiertos y los puertos de la región permanecieron abiertos.[18] Las regiones altas de Guerrero, Colima y Jalisco sufrieron deslizamientos de tierra y lodo debido a las intensas lluvias causadas por las bandas externas del sistema.[19] Las fuertes olas generadas por el huracán y los vientos arrachados demoraron una embarcación en el mar.[17] Estos vientos, junto con la intensa lluvia provocaron la caída de árboles e inundaciones costeras por la marejada.[17]
Hacia la noche del 30 de agosto (31 UTC) el Gobierno mexicano emitió un aviso de vigilancia de huracán desde bahía Magdalena hasta San Evaristo en la parte austral de la península de Baja California.[20] En La Paz, los pobladores se apuraron a tapiar ventanas y a aprovisionarse antes de que los almacenes cerraran.[21] Esa noche, las bandas externas de Jimena comenzaron a producir intensas lluvias, causando deslizamientos de tierra y cortes de energía.[22] Las autoridades de Defensa Civil en Los Cabos anunciaron el día 31 la evacuación de 20 000 familias.[23]
El gobierno del estado de Sonora emitió una alerta azul (inicial) para 14 municipios de la porción sur del estado el 31 de agosto. Más tarde, la alerta fue elevada a verde debido al gran riesgo por lluvias torrenciales.[24]
Los fuertes vientos y lluvias de Jimena trajeron devastación al cruzar la península. Se reportó la muerte de un hombre en Mulegé, mientras que en Puerto San Carlos el 75 % de las casas fueron dañadas y el servicio eléctrico se vio interrumpido en muchos municipios, como Comondú y Loreto.[25]
En las poblaciones de Guaymas y Empalme, en Sonora, se registraron inundaciones e interrupciones en las comunicaciones y el servicio eléctrico.[26] Dos personas resultaron muertas en un accidente automovilístico mientras que otras dos se reportaron desaparecidas en las cercanías de Guaymas.[27]
En el sector agrícola hubo grandes daños igualmente: 400 ha de cítricos y 80 ha de invernaderos se perdieron. Lás pérdidas en ese sector se estiman en unos MXN 500 millones (USD 37,3 millones).[28] Los daños a la infraestructura ascendieron a MXN 300 millones (USD 12,5 millones) para un total de MXN 800 millones (USD 59,8 millones).[29]
Estados Unidos
El 30 de agosto, Robbie Berg del Centro Nacional de Huracanes señaló que los remanentes de Jimena podrían resultar una ayuda para el combate de los incendios en California y que debía monitorearse el progreso del sistema.[30] El Departamento de Estado emitió alertas advirtiendo a los ciudadanos estadounidenses a "considerar cuidadosamente los riesgos de viajar a áreas de México que pudieran ser afectadas por el huracán Jimena".[31]
Véase también
- Temporada de huracanes en el Pacífico de 2009
Referencias




